 
        
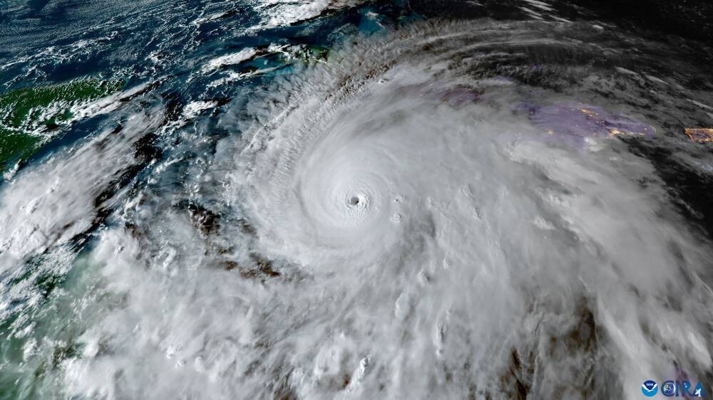
        UN agencies have warned of the growing threat of Hurricane 'Melissa' due to its heavy rainfall and strong winds, affecting at least 1.6 million people. The hurricane poses a serious danger to life and property in the region. Authorities are urging residents to take necessary precautions and stay updated with meteorological services.
 
        
         
        
        